
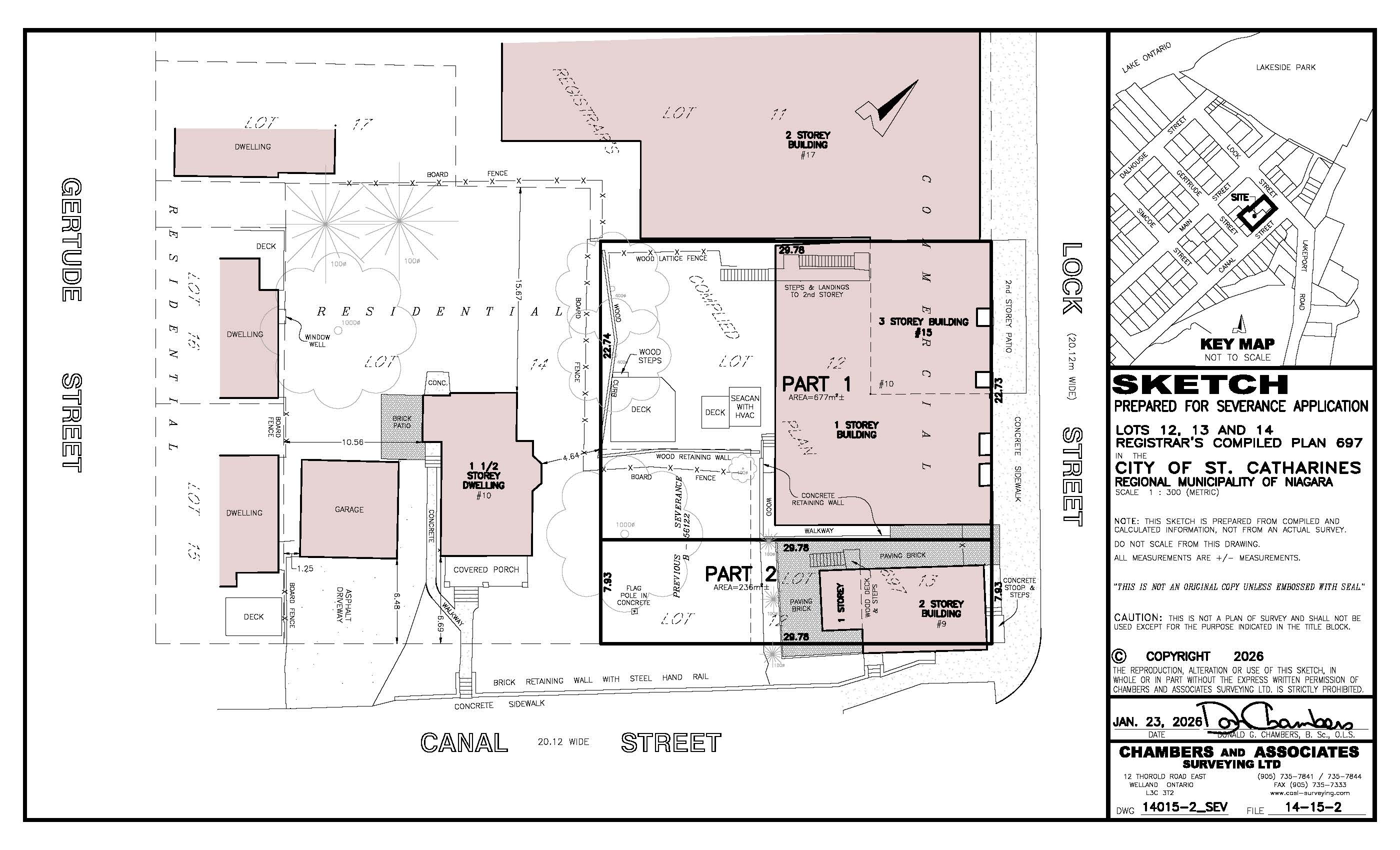
An application for Consent have been received from Four Black Sheep Inc. for the property at 9-15 Lock Street and will be heard by the Committee of Adjustment for the City of St. Catharines on May 20, 2026 at 5:00 p.m.
Application B-07/26SC is made for consent to sever 236 square metres of land (Part 2 on the submitted sketch) with an existing commercial building known as 9 Lock Street. A 677 square metre remnant parcel (Part 1) with an existing commercial building known as 15 Lock Street will be retained for continued commercial use.
If you have questions, wish to submit comments, or request a copy of the Notice of Decision, please contact:
Elaine Munro, Secretary-Treasurer, Committee of Adjustment
City Hall, P.O. Box 3012, 50 Church Street, St. Catharines, ON L2R 7C2
905-688-5601 x1715