
Proposal
The Planning and Building Services Department received applications for an Official Plan and Zoning By-law Amendment for lands located at 704 Niagara St.
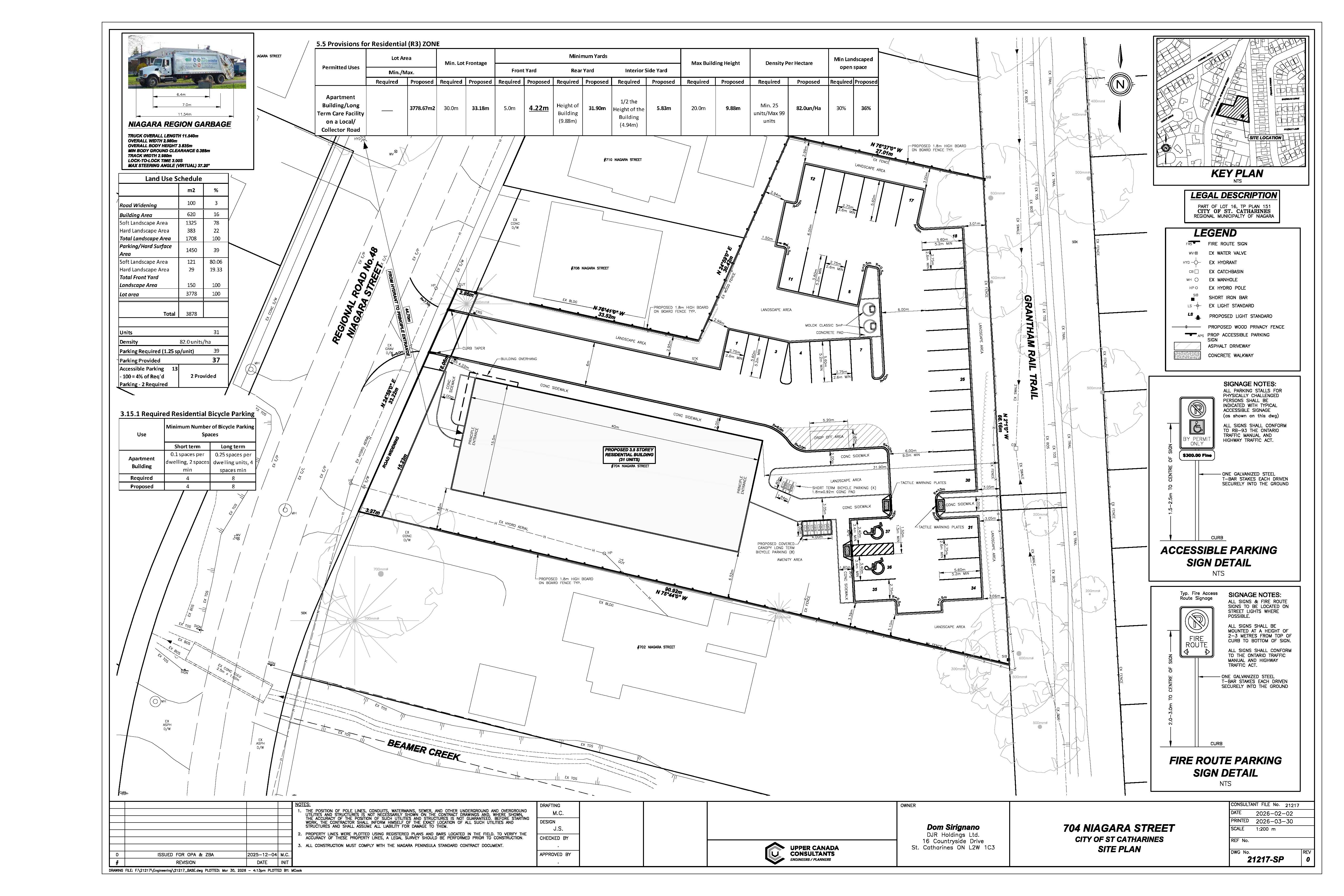
The applicant has submitted a revised proposal by reducing the height from 4 storeys (11.58 m) to 3.5 storeys (9.88 m) to facilitate the future development of an apartment building, with a total of 31 dwelling units. The proposed development proposes 37 parking spaces within an at-grade parking lot, with two accessible spaces.
The Garden City Plan (GCP) designates the subject lands majority Neighbourhood Residential and the remaining portion Natural Areas (adjacent to Beamer Creek) on Schedule D1. Schedule E2 further identifies the lands majority Low Density Residential, in part, and Natural Areas within the Natural Area Extent line, in part. The Applicant has submitted an Official Plan Amendment application to re-designate the lands to Medium Density Residential to accommodate the proposed 31-unit apartment development. The application also proposes the removal of the Natural Areas designation.
The Zoning By-law zones the subject lands majority Low Density Residential – Suburban Neighbourhood (R1) Zone and the remaining portion Conservation/Natural Area (G1) Zone. The Applicant has requested to rezone the lands to a site-specific Medium Density Residential (R3-197) Zone. The Special Provision requests to reduce the minimum required front yard setback, parking spaces, and landscape buffer for a parking area abutting a residential or institutional zone.
More Information
The application materials are available for review and comment and may be found at www.stcatharines.ca/development and at the Planning and Building Services Department, City Hall, 50 Church Street. Please contact Kevin Macdonald, Planner, at 905.680.6944, the City’s TTY number (text telephone) 711, or by email (kmacdonald@stcatharines.ca) if further information is required.
How To Participate
Visit www.stcatharines.ca/Council for information on how to access and participate in the Public Meeting, and how to request and make a delegation before Council.
Written submissions must be received by noon on the Thursday before the public meeting by mailing or delivering them to:
Email submissions may also be made by noon the day of the public meeting and directed to clerks@stcatharines.ca. Both oral and written comments will be taken into account by City Council in making a decision on the subject matter.
Date: Monday, April 27, 2026
Time: 6 p.m.
Location: Council Chambers, City Hall, 50 Church St., St. Catharines.
Contact
For more information about this matter, including information about appeal rights, please contact Kevin Maconald, Planner, Planning and Building Services Department at 905.680. 6944, the City’s TTY number (text telephone) 711, or by email (kmacdonald@stcatharines.ca).

