
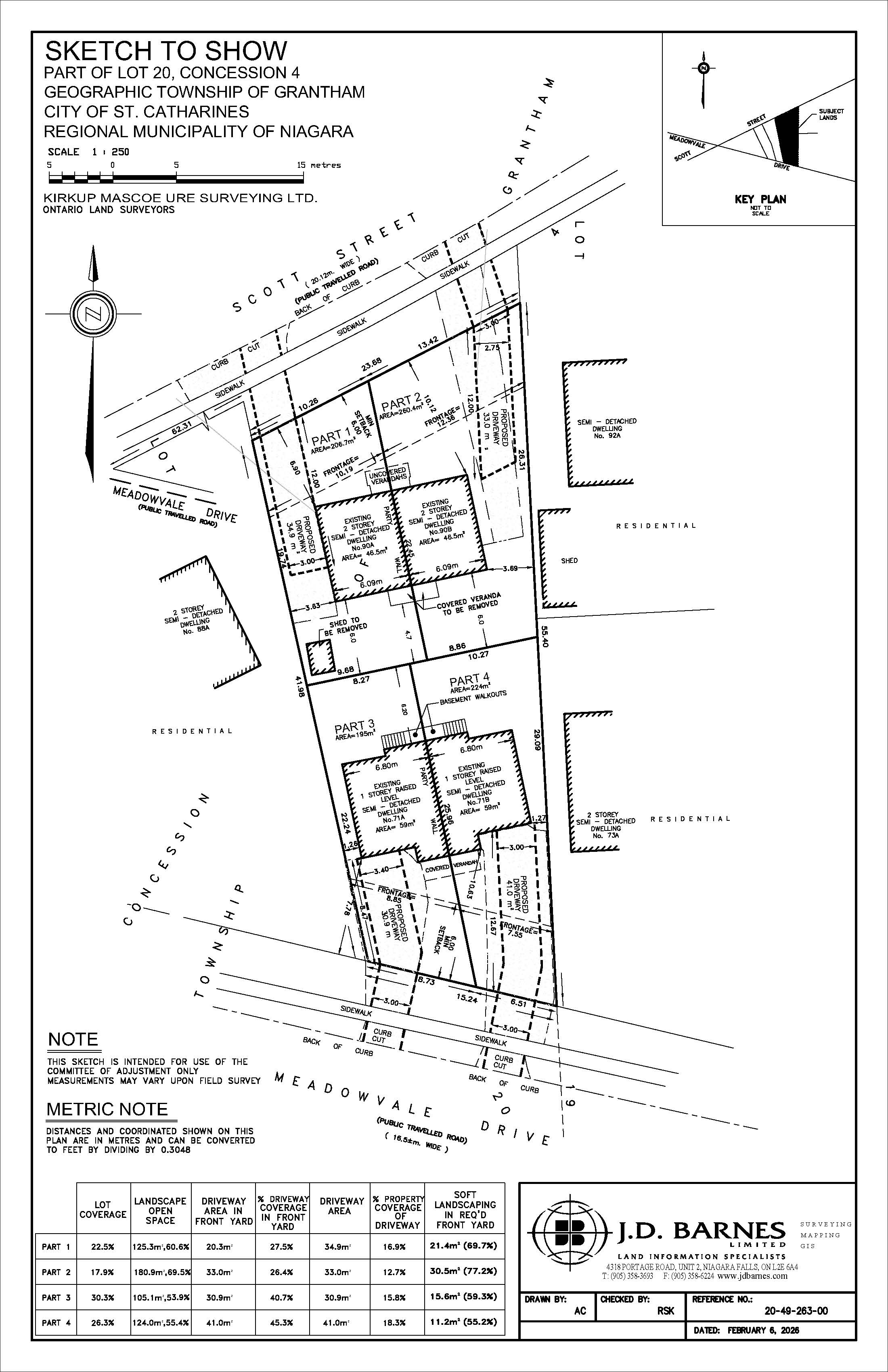
An application for Consent has been received from Joane DiFrancesco and Joseph Pennacchio for the property at 90 Scott St. and will be heard by the Committee of Adjustment for the City of St. Catharines on March 18, 2026, at 5:00 p.m.
Application B-05/26SC is made for consent to sever 206.7 square metres (Part 1 on the submitted sketch) to be known as 90A Scott St. for an existing semi-detached dwelling for continued residential use. A 260.4 square metre remnant parcel (Part 2) to be known as 90B Scott St. is to be retained with an existing semi-detached dwelling for continued residential use.
If you have questions, wish to submit comments, or request a copy of the Notice of Decision, please contact:
Elaine Munro, Secretary-Treasurer, Committee of Adjustment
City Hall, P.O. Box 3012, 50 Church St., St. Catharines, ON L2R 7C2
905.688.5601 ext. 1715