
Proposal
The Planning and Building Services Department received applications for an Official Plan and Zoning By-law Amendment for lands located at 704 Niagara Street. The Applications were declared complete on January 13th, 2026, pursuant to sections 22 (6.1) and 34 (10.4) of the Planning Act.
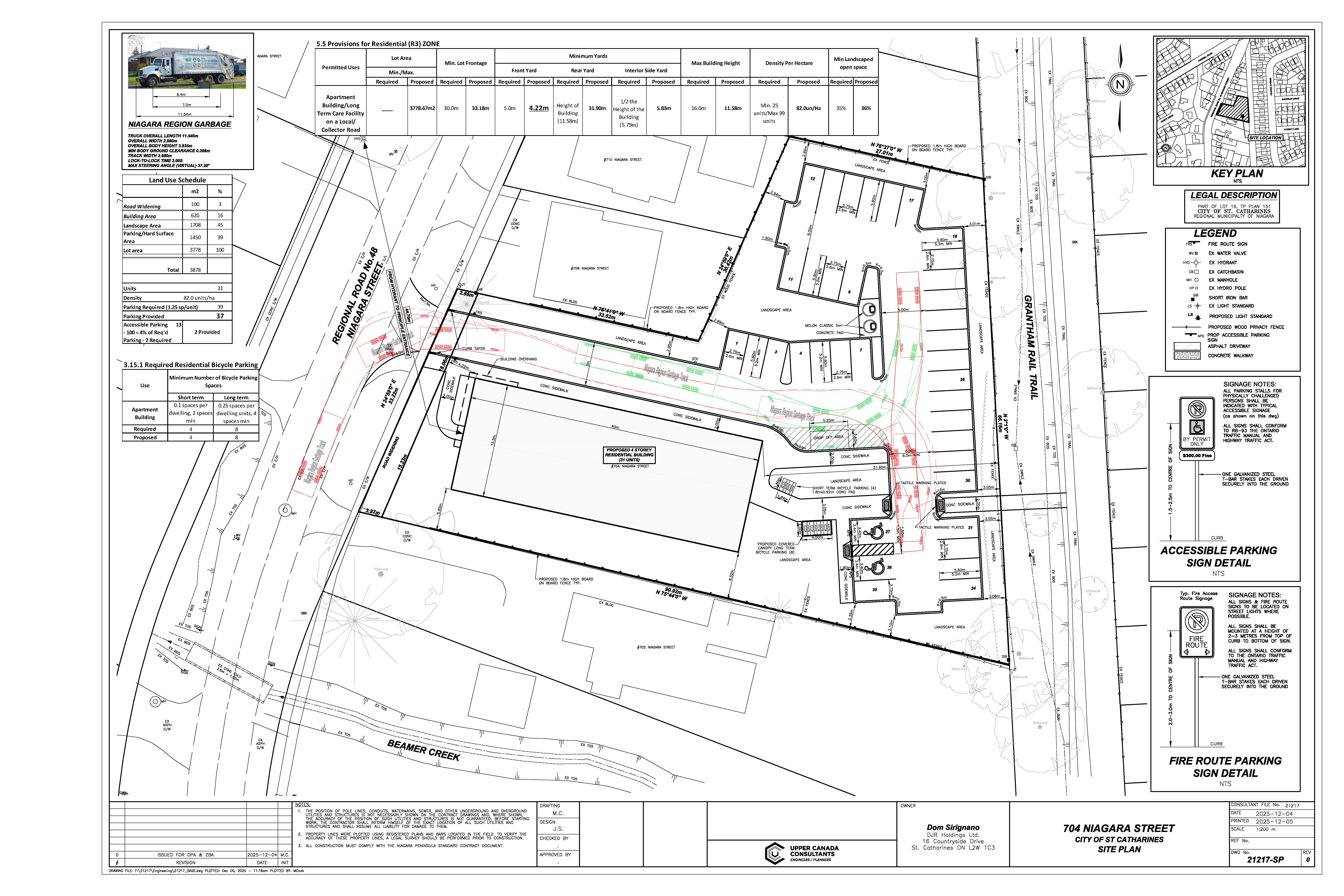
The Applicant is seeking to facilitate the future development of a 4-storey apartment building, with a total of 31 dwelling units. The proposed development will feature a private driveway for access, with an entrance and exit on Niagara Street. A total of 37 parking spaces will be provided within an at-grade parking lot, with two accessible spaces.
The Garden City Plan (GCP) designates the subject lands majority Neighbourhood Residential and Natural Areas (adjacent to Beamer Creek) on Schedule D1. Schedule E2 further identifies the lands majority Low Density Residential, in part, and Natural Areas within the Natural Area Extent line (adjacent to Beamer Creek), in part. The Applicant has submitted an Official Plan Amendment application to re-designate the lands to Medium Density Residential to accommodate the proposed 31-unit apartment development. The application also proposes the removal of the Natural Areas designation.
The Zoning By-law zones the subject lands majority Low Density Residential – Suburban Neighbourhood (R1) Zone and a small portion Conservation/Natural Area (G1) Zone (adjacent to Beamer Creek). The Applicant has requested to rezone the lands to a site-specific Medium Density Residential (R3-XX) Zone. The Special Provision requests to reduce the minimum required front yard setback, parking spaces, and landscape buffer for a parking area abutting a residential or institutional zone.
More Information
The Open House is an opportunity for public input. No decision will be made at this meeting. A Public Meeting will be held at a later date, for which notice will be provided to the public. The application materials are available for review and comment and may be found at www.stcatharines.ca/development and at the Planning and Building Services Department, City Hall, 50 Church Street.
Date: Tuesday, February 24th, 2026
Time: 6 pm
Location: Burgoyne Woods Room, 3rd Floor, City Hall
50 Church Street, St. Catharines
Contact
For more information about this matter, including information about appeal rights, please contact Kevin Macdonald, Planner, Planning and Building Services Department at 905-680-6944, the City’s TTY number (text telephone) 905-688-4TTY (4889), or by email kmacdonald@stcatharines.ca.
Kevin MacDonald, Planner
Planning and Building Services Department
kmacdonald@stcatharines.ca 905-680-6944, or TTY: 905-688-4TTY (4889)


